Furacão Milton deixa a costa leste da Flórida

PUBLICIDADE

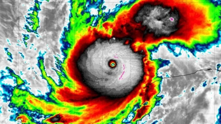
Ventos e tempestades. O olho do furacão Milton, que viajou durante a noite de perto da área da Baía de Tampa a leste em e passou ao sul de Orlando, agora está passando pela península da Flórida e saindo da costa leste dos EUA.

O fenômeno atingiu o país durante a noite dessa quarta-feira (9) com uma tempestade de categoria 3, ventos de mais de 200 km/h e inundações de até 2 metros de altura. A medida que o fenômeno foi avançando pela costa de Tampa, foi perdendo força, mas ainda com grande potencial de destruição.

Atualmente um furacão de categoria 1 ainda está atingindo partes da costa com ventos terrestres que podem criar tornados ao longo da Treasure Coast, também na Flórida, disse Van Dam.

As chuvas fortes ainda representam um risco, com alguns lugares recebendo meses de chuva em um dia. Enchentes repentinas estão sendo relatadas no Condado de Hillsborough, onde Tampa está localizada, estendendo-se para o norte e leste em direção a Orlando, onde os alertas de inundação ainda estão em vigor.

Segundo os especialistas, essa mistura de água – inundações interiores tentando escoar pelos rios e riachos em direção à costa, e tempestades vindas na direção oposta – pode causar inundações ainda piores, que podem não escoar até que o furacão tenha se afastado mais. O Milton está sendo considerado como o pior a atingir os Estados Unidos nos últimos 100 anos.

Redação

Últimas notícias

Treze perde para o Lagarto em jogo eletrizante com nove gols, viradas e apagão no estádio Barretão, no interior de Sergipe

Em uma partida marcada por muitos gols e reviravoltas, o Treze Futebol Clube enfrentou o…

11 de abril de 2026

Na busca por acesso, Botafogo (PB), Treze, Sousa e Serra Branca entram em campo neste sábado pelas Séries C e D do Brasileiro

O sonho do acesso para Botafogo (PB), Treze, Sousa e Serra Branca tem uma nova…

11 de abril de 2026

Caminhão com carga de camarão tomba na BR-101, interdita pista e provoca aglomeração; veja vídeo

Um caminhão carregado de camarão tombou em um trecho da BR-101, na tarde deste sábado…

11 de abril de 2026

Batida entre veículos na BR-412, em Sumé, causa susto e deixa trânsito lento neste sábado

Uma colisão envolvendo dois veículos de passeio foi registrada por volta das 13h deste sábado…

11 de abril de 2026

Litoral da Paraíba tem cinco trechos impróprios para banho neste final de semana

A Paraíba registra cinco trechos de praias impróprios para banho, conforme relatório de balneabilidade divulgado…

11 de abril de 2026

Homem é baleado com 12 tiros em tentativa de homicídio em Santa Rita

Um homem de 30 anos, identificado como Jefferson Luis da Silva, foi alvo de uma…

11 de abril de 2026